Siirt'te 4 kişinin midesinden kilolarca uyuşturucu çıkarıldı
Yayınlanma:
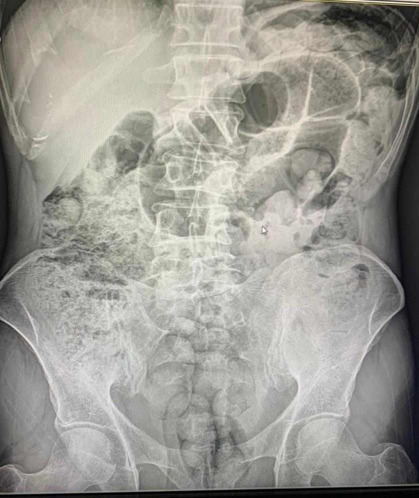
Siirt'te 4 kişinin midelerindeki 1 kilo 597 gram uyuşturucu madde, 10 günlük hastane sürecinin ardından cerrahi müdahaleyle çıkartıldı. Şahıslar çıkarıldıkları mahkemece tutuklandı.
Siirt Emniyet Müdürlüğü Narkotik Suçlarla Mücadele Şube Müdürlüğü görevlilerince 14 Aralıkta Baykan Şehit Bünyamin Torgut Polis Uygulama Noktasında durdurulan iki araçta, batı illerine uyuşturucu madde sevk etmek için uyuşturucu maddeleri özel yöntemler kullanarak paketleyerek yutmak yöntemiyle mide kısmında taşıyan İran uyruklu 3 kadın 1 erkek şahıs yakalanmıştı.

Şahısların midelerinde bulunan uyuşturucu maddeler 10 gün devam eden hastane süreci sonucunda cerrahi yöntemler kullanılarak çıkartıldı.
Şüpheli şahısların midelerinden 119 paket halinde 1 kilo 597 gram uyuşturucu madde çıkartıldı. Zanlılar, sevk edildikleri adli makamlarca tutuklanarak cezaevine sevk edildi.



Kaynak:İHA
Yaşam

Türkçe karakter kullanılmayan ve büyük harflerle yazılmış yorumlar onaylanmamaktadır.